





Listing Office: Better Homes & Gardens Real Estate/The Masiello Group
Attribution contact:
Description
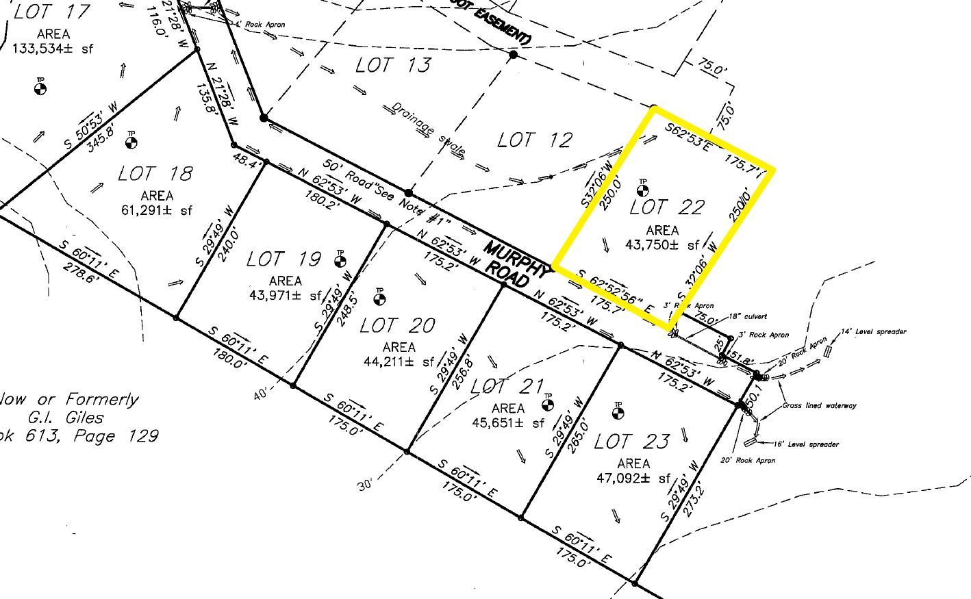
Escape to your own private slice of Maine with this beautifully wooded, surveyed 2-acre lot, ready for your vision to come to life. Tucked away for privacy yet conveniently located, this property already has key improvements in place to jumpstart your plans.
A thoughtfully cleared homesite features a gravel base and a 14x38 Amish-built shell, offering a solid start for a cozy cabin, getaway retreat, or year-round residence. Keep it as is for a rustic feel or upgrade with a slab foundation to create something more permanent, the choice is yours.
Enjoy the peace of nature with the added bonus of a small retention pond behind the build site, enhancing both charm and functionality. Power is available nearby, and the private gravel subdivision road ensures quiet access without the constraints of a formal road association.
With Route 179 just seconds away, you're perfectly positioned for easy trips to Ellsworth and the stunning Maine coast, making this an ideal blend of seclusion and accessibility.
Looking for a turnkey camping setup while you build? A semi-rehabbed camper trailer on-site is available for separate purchase, giving you an immediate way to enjoy the property.
Whether you're dreaming of a peaceful homestead, seasonal escape, or investment opportunity, this property is full of potential and ready for your next chapter.
Location
Listed By
Listing Agent
Lesley Moose
Better Homes & Gardens Real Estate/The Masiello Group
Similar Listings
No similar listings found
Unfortunately, we don't have any similar listings at the moment. Please remove or change some of the selected filters.

Listing data is derived in whole or in part from the Maine IDX and is for consumers' personal, non-commercial use only. Dimensions are approximate and not guaranteed. All data should be independently verified. © Maine Real Estate Information System, Inc. All Rights Reserved. Updated: 17th April, 2026 11:34 PM (UTC)


























































